Lowes Site Plan Application No SPMAJ06 06 Lot











- Slides: 11
Lowe’s Site Plan Application No. SP-MAJ-06 -06 Lot 3
location map Cobblestone Village Subdivision Site
PROJECT HISTORY: § Cobblestone Village at Palm Coast is a mixed use, regional shopping center consisting of major, national anchor tenants and ancillary shops. § Original FLUM request of a 400, 000± sq. ft. retail shopping center was denied. § The project was redesigned using current FLUM and Zoning Designations. § Plat and site plan review are required from the City.
plat City Council approved via plat the overall 276, 541 sq. ft. for Cobblestone Village on November 7, 2006.
PLDRB approved the Lot 2 Site Plan for Belk’s (96, 784 sq. ft. ) and adjacent retail shops on November 15, 2006.
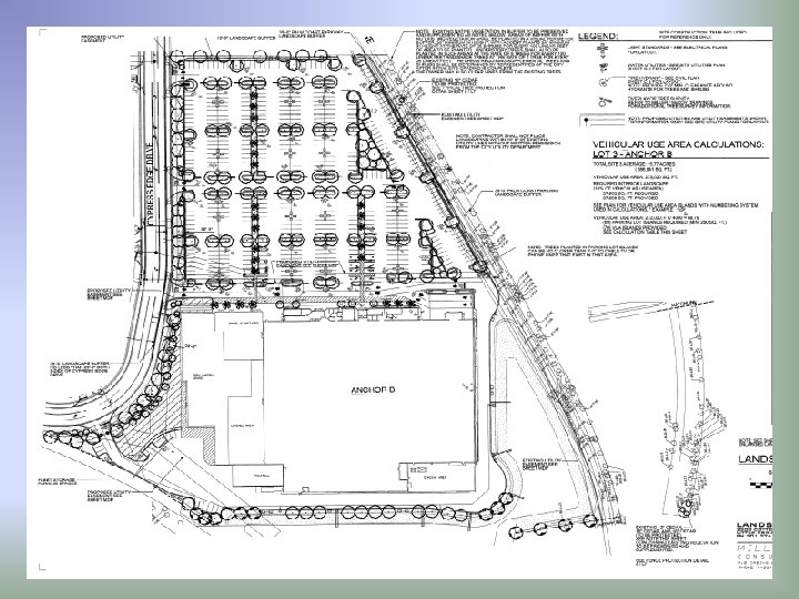
Lot 3, the Lowe’s site (181, 287 sq. ft. ) triggers the Major Site Plan criteria and, therefore, requires approval from City Council.
SITE DEVELOPMENT STANDARDS: Standard: Required: Provided: Lot Size (minimum) 20, 000 sq. ft. 686, 941 sq. ft. Lot Width (minimum) 100 ft. 922. 05 ft. Max Impervious Ratio . 70 . 61 Max. FAR (Floor Area Ratio) . 40 . 23 Max. Bldg. Height (Parkway) 50 ft. 28. 67 ft. Front Setback (minimum) 20 ft. 28. 87 ft. Rear Setback (minimum) 10 ft. 102. 7 ft. Side Interior (minimum) 20 ft. 67 ft. Parking 906 spaces 535 spaces (Variance approved by PLDRB on 11/15/06) Perimeter Buffer (minimum) 82, 433 sq. ft. 107, 782 sq. ft. Concurrency: Traffic concurrency analysis performed by the City, consistent with State law, determined the determined that the developer met concurrency. Based upon this finding, the developer proceeded to final plat approval, which was granted by the City Council on November 7, 2006.
PLDRB RECOMMENDATION: § On November 15, 2006, the Planning and Land Development Review Board recommended approval (5 -2) of the site plan for Lot 3 to City Council STAFF RECOMMENDATION: § Recommend approval to authorize staff to issue the Final Site Plan Development Order, SP-MAJ-06 -06 for Cobblestone Village, Lot 3.