ENVIRONMENTAL IMPACT ASSESSMENT EIA FOR THE PROPOSED DESALINATION

















































- Slides: 49
ENVIRONMENTAL IMPACT ASSESSMENT (EIA) FOR THE PROPOSED DESALINATION PLANT AT MILE 6, SWAKOPMUND Bird Impact Assessment Study Chris van Rooyen
Impacts n Habitat destruction by plant footprint Foraging shore birds n Breeding (Damara Tern) n
Impacts n Disturbance caused by the construction operations Noise pollution caused by construction operations such as excavators, bulldozers, compactors, pile drivers, cranes, and possibly dredging equipment n Hazards to foraging seabirds caused by underwater blasting n
Impacts n Disturbance caused by the operation of the plant n Noise pollution by high pressures pumps which supply the very high pressures required by desalination processes, and the energy recovering turbines used on most plants, which contribute to noise pollution
Impacts n n Habitat destruction due to construction of the substation and power line Clearing of vegetation for the construction of the substation Clearing of vegetation under the power line n Construction of access roads during the construction phase n
Impacts n Disturbance during construction phase of the powerline n n Breeding birds (Damara Tern) Collisions with the power line Water birds n Terrestrial species n n Electrocutions n Raptors and vultures
Legislation n Covered in detail in the DSR Nature Conservation Ordinance 4 of 1975 Convention on Biological Diversity, 1992
Findings: habitat destruction by plant footprint n Foraging shore birds n n n The coast north of the saltworks (Mile 4) supports a number of resident and migrant sea- and shore-birds, but is much less important than the coast between Walvis Bay and Swakopmund (NA 012), the Swakopmund Saltworks (NA 011) and Cape Cross (NA 009), which are recognized as Important Bird Areas (IBAs). Approximately 31 species, most of which are Palaearctic migrants could potentially occur in the study area. Most common are Turnstone, Curlew Sandpiper, Grey Plover, Whimbrel. At times groups of non-breeding, Cape Cormorants roost on the beaches north of the Swakopmund Saltworks. Similarly migrant Common, Arctic, Sandwich and Black terns may roost on the beach, particularly when the sea is too rough foraging. The Great White Pelican has adapted to human activity in the area, particularly angling, and individuals often attend anglers in the expectation of being fed the offal from gutted fish.
NACOMA: Conservation priorities
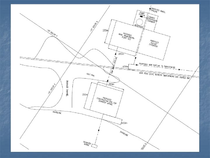
Findings: habitat destruction by plant footprint An area of 400 m x 250 m is required for construction and lay-down (i. e. temporary storage of equipment and construction materials). This is a small area compared to the total amount of shoreline habitat that is available. n Temporary impact. n
Findings: habitat destruction by plant footprint n n During operation, the footprint will be 200 m x 250 m, which includes the on-site water reservoir but excludes the new substation at Mile 6. This will not be situated on the shoreline itself, therefore the shoreline should be available foraging purposes, provided the noise of the operating plant will not act as a deterrent (see below). Distance from plant to shoreline? Mitigation: None, given the small size of the footprint and the fact that the critical habitat i. e. the shoreline itself, will not be impacted.
Findings: habitat destruction by plant footprint n Breeding Damara Tern n n Salt pans and gravel plains within 3 -5 km of the ocean are preferred nesting areas for the Damara Terns, although directly south of Swakopmund, sandflats, particularly Caution Reef, holds the densest breeding colony of the species in the world. Breeds on the ground in exposed locations in a small depression sometimes lined by shell fragments or small stones The study area therefore is potentially suitable for the species, but current impacts and threats from 4 x 4 vehicles and jackals (see below) are huge. No breeding were observed during the field visit, only a single flying individual.
Findings: habitat destruction by plant footprint n n The terns that used to breed at mile 4 have been extinct since development took place in 1980. The figures given by Simmons et al (2006) for the area between mile 4 and 8 dates to 1995 and is not correct anymore (R. Braby pers. com). According to Rod Braby there may be a small group of 4 – 8 pairs left in the area between mile 4 and mile 8 (pers. com 2009). He suggested that the birds should be able to find alternative suitable habitat either south or north of the development area.
Findings: habitat destruction by plant footprint n n n Nest location is strongly influenced by jackal activity: nests are located farther inland where density of jackal tracks at the coast is high and well studied colonies have moved away from their core to peripheral areas as jackals move in. The presence of jackals and humans influences success of nests - reducing disturbance can double the production of chicks in protected colonies. Many jackal and vehicle tracks were observed in the study area, indicating less than ideal conditions for breeding Damara Terns.
Findings: habitat destruction by plant footprint Comment from IAP Joe & Gisela Noci: “It should however be noted that given the increased (human) activity south of the Swakop River, it has been observed that the number of Damara Tern breeding sites in this vicinity is currently on the increase. It can thus not simply be glossed over”. (this statement will have to be checked). n Mitigation: None, given the small size of the footprint, current impacts and low numbers. n
Findings: disturbance caused by the construction operations n The impact of noise pollution caused by construction operations such as excavators, bulldozers, compactors, pile drivers, cranes, and possibly dredging equipment on the mile 4 Saltworks.
Findings: disturbance caused by the construction operations n It is widely acknowledged that there is need to assess the influence of noise on animals, but overall, there has been relatively limited research undertaken in these fields; and the scientific evidence addressing the issue of human noise and wildlife is still rather meagre.
Findings: disturbance caused by the construction operations n A tentative summary of 14 studies involving birds exposed to noise indicates that: Different species react differently to noise disturbance. n Many species are seemingly capable of tolerating high noise levels (>80 d. BA) on a regular basis without any significant negative behavioural or physiological consequences. n Visual cues associated with noise may be as important if not more important than the actual noise levels in causing disturbance. n
Findings: disturbance caused by the construction operations n n Because of the difficulty of comparing results and the danger of unsubstantiated generalisations, it was decided to use the study of Waterman et al 2004 as the primary benchmark. The reason for this is that study produced the most conservative results from all the studies The threshold noise level from which population densities were affected varied little between species: Black-tailed Godwit 45 d. B(A), Skylark 42 d. B(A) and Garganey 49 d. B(A).
Findings: disturbance caused by the construction operations n The estimated noise levels caused by the construction site, particularly during the pile driving, will be in the vicinity of 109. 5 d. BA (Williams this study). This drops to 72. 6 d. BA at 70 m away. At the southern site, which is the closest to the Mile 4 Saltworks and guano platforms, the estimated noise levels caused by the construction operations at the following points are estimated: n n n Northern end of Saltworks @ 2100 m away is 40. 4 d. BA Guano Platform @ 2990 m away is 39. 99 d. BA Southern end of Saltworks @ 6920 m away is 32. 7 d. BA
Findings: disturbance caused by the construction operations n Current ambient noise levels at the southern site around 46 d. B A during the day and 41 d. BA at night. Early morning the noise is at 46 d. BA (Williams this study).
Findings: disturbance caused by the construction operations n n n It can be assumed that the ambient noise levels at the Mile 4 Saltworks will be at least similar in intensity of even higher, given the additional noise created by the thousands of birds breeding and roosting (Williams this study). The practical implication of this is that the noise levels of the construction operations will be masked by the ambient noise levels in the saltworks, it follows therefore that the birds should most likely not be affected by the noise. Mitigation: None (or as per the noise specialist study, if applicable)
Findings: disturbance caused by the construction operations n n The distance from the construction site for the proposed seawater intake to the shoreline is around 50 m – 70 m. No measurements for the ambient noise at the shoreline itself are available, but it is estimated to be in the vicinity of 60 -65 d. BA (Williams pers. com). The noise of the construction operations should therefore be audible to birds foraging on the shore, (it is estimated to be around 72. 6 d. BA at that distance) but whether it will cause them stress is not known. It may well be that the activity around the construction site (visual cues) will be a bigger source of disturbance.
Findings: disturbance caused by the construction operations n n However, many of these birds forage at night, when no construction activities take place. It must further be noted that the prevailing wind direction is south-west, (away from the shoreline) which will reduce the intensity of the noise. Mitigation: None for the noise (or as per the noise specialist study, if applicable). Mitigation: Restrict activities to the actual construction site.
Findings: disturbance caused by the construction operations No Damara Tern nests were recorded during the field visit, but this can not be taken as definite proof that they are not breeding in the vicinity of the proposed plants. n In no wind conditions, the noise of the construction operations should be audible for a distance of around 1400 m before it gets masked by the ambient noise levels (Wiliams this study). n
Findings: disturbance caused by the construction operations n n n At Caution Reef, Damara Terns are nesting within a radius of 1200 m and smaller of the busy B 2 road, with noise levels in excess of 60 d. BA within 80 m of the road. It’s not known what the noise threshold is for the species, but studies have shown that some terns can be tolerant of high noise levels. Brown (1990) reported the response of Crested Tern (Sterna bergii), to acoustic stimuli simulating of 65 d. BA to 95. Results of the trial indicated that the maximal responses of preparing for flight, or escape, were restricted to exposures greater than 85 d. B(A). Mitigation: None (or as per the noise specialist study, if applicable)
Findings: disturbance caused by the construction operations o Hazards to foraging seabirds caused by underwater blasting Blasting will take place during the construction of the (total of 20 blasts, 2 blasts per week). n If blasting will take place under water, it could injure or kill fish feeders such as cormorants. n Mitigation: Delay blasting if fish runs with feeding birds are in the vicinity n
Findings: disturbance caused by the operation of the plant o Noise pollution by high pressures pumps which supply the very high pressures required by desalination processes, and as the energy recovering turbines used on most plants, which contribute to noise pollution
Findings: disturbance caused by the operation of the plant n n n Noise levels at the source (the operational plant) will be in the vicinity of 80 – 90 d. BA (Williams this study) These noise levels will drop significantly as one moves away from the plant, and noise levels will approximate ambient noise levels around 100 m from the source (Williams this study). From there onwards, noise levels will be masked by the ambient noise levels, which is between 4146 d. BA. At the mile 4 Saltworks, the noise of the operating plant should be completely masked by the ambient noise, and the birds should therefore not be affected. The same applies for the shorebirds. Damara Terns, if breeding in the area, might be affected in the immediate area of the plant (100 m), but there tolerance to noise are not known, and it may well be high (see above). Mitigation: None (or as per the noise specialist study, if applicable)
Findings: Habitat destruction caused by the construction of the power line and substation. n Clearing of vegetation for the construction of the substation, power line and access roads n n n The northern Namib, where the line and substation will be situated consists of gravel plains and pale sand, sometimes sparsely covered by reed like grass. The power line will not cross any major dry riverbeds. A minimal amount of vegetation will have to be cleared. In the case of the line itself, the impact will be temporary as the vegetation will grow back under the line. The foot print of the substation itself is small (exact dimensions? ) Mitigation: Strict adherence to best practices for the construction of power lines and associated infrastructure.
Findings: Disturbance during construction phase n Potential impact on breeding birds (Damara Tern). n n n Salt pans and gravel plains within 3 -5 km of the ocean are preferred nesting areas for the Damara Terns (Simmons et al 2006), therefore the construction of the first 5 km of the line and the substation could potentially affect breeding birds of this species. No breeding birds were observed during the site visit, but if they do occur, it should be a temporary impact. Mitigation: Movements of people and vehicle traffic to be restricted to the immediate construction site.
Findings: Collisions with the power line n Waterbirds Flamingos, pelicans and waders. n Cormorants generally fly over open water and along the shoreline and should therefore not be affected. n Flamingos undertake nocturnal migrations to Etosha and up local movements and down the coastline. n
Findings: Collisions with the power line The highest risk for water birds will be on the t-off section between the new substation and the plant (approximately 3 km), where the line will be perpendicular to the coast line, and closest to the Mile 4 Saltworks. n The saltworks are a converging point for many birds, including flamingos which are highly vulnerable to power line collisions, and they will be flying at low altitudes. n
Findings: Collisions with the power line n n n Long distance migrations by flamingos to Etosha should pose less of a risk, as birds generally undertake long distance flights at altitudes higher than the proposed power line. The proposed 44 km power line falls within the coastal fog zone which receives up to 180 days of thick coastal fog, which further heightens the risk of collisions, particularly on the T-off section between the new substation and the plant. Mitigation: Mark the section of the power line from the new substation to the plant with suitable anticollsion devices, including the Mace Bird Lites to cater for nocturnal and/or foggy conditions.
Findings: Collisions with the power line n Terrestrial species n n Rüppels Korhaan and Ludwig’s Bustard, the latter possibly more. None of these two species are regarded as threatened in Namibia. Ludwig’s Bustard in particular are prone to nomadic, food induced movement, more birds in the Namib in winter. Mitigation: None – no way of isolating particular sections.
Findings: Electrocutions on the powerline n Large raptors and vultures e. g. Lappetfaced Vultures and Martial Eagles Due to the design of the power line and substation, no electrocution risk is foreseen. n The line might be used for nesting and roosting purposes by Lappet-faced Vultures and Martial Eagles. n Mitigation: None n